Przetargi ustne nieograniczone na najem wolnych lokali użytkowych, ogródków przydomowych oraz piwnicy
01.04.2026

16 kwietnia 2026 roku w sali konferencyjnej budynku Urzędu Miasta Siemianowice Śląskie przy ul. Michałkowickiej 105 odbędą się przetargi ustne nieograniczone na najem wolnych lokali użytkowych, ogródków przydomowych oraz piwnicy.
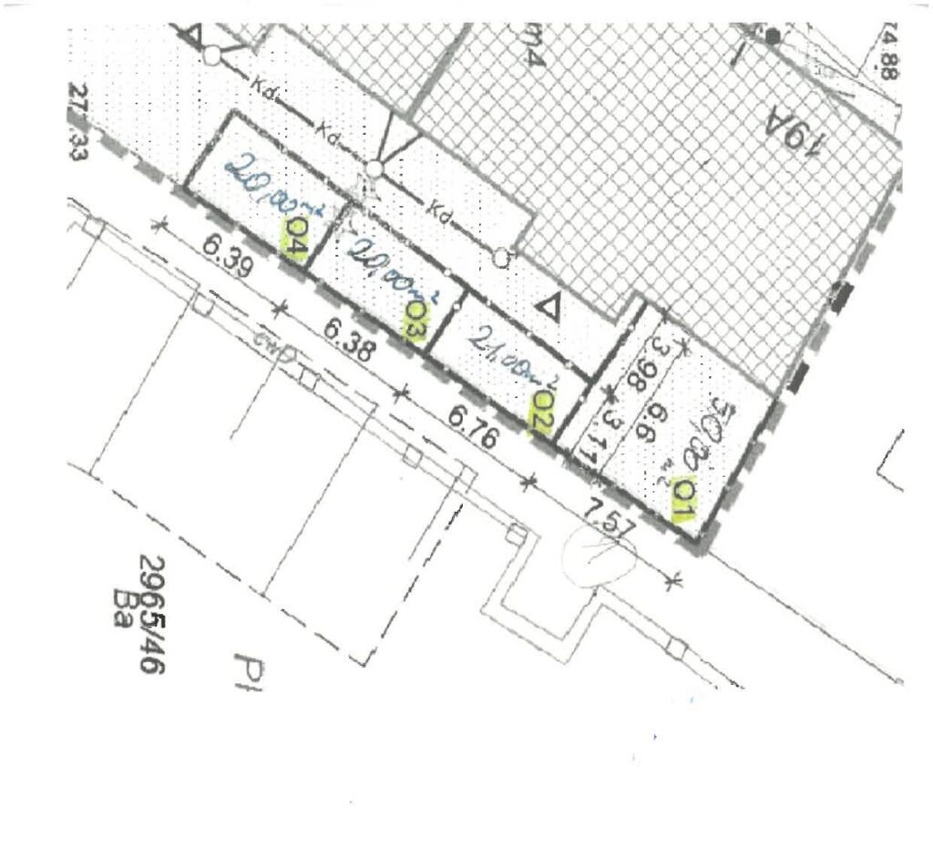
Ogródki przydomowe:
- Jana Matejki 19 → Ogródek przydomowy o powierzchni 50 m².
Stawką wywoławczą w przetargu jest miesięczna opłata czynszowa wysokości 250,00 zł. netto. Wadium w wysokości 20% rocznego czynszu wynosi 600,00 zł.
Przetarg odbędzie się w dniu 16.04.2026 r. o godz. 9.00 w Sali Konferencyjnej w budynku Urzędu Miasta Siemianowice Śląskie przy ul. Michałkowickiej 105., - Jana Matejki 19 → Ogródek przydomowy o powierzchni 21 m².
Stawką wywoławczą w przetargu jest miesięczna opłata czynszowa wysokości 105,00 zł. netto. Wadium w wysokości 20% rocznego czynszu wynosi 252,00 zł.
Przetarg odbędzie się w dniu 16.04.2026 r. o godz. 9.30 w Sali Konferencyjnej w budynku Urzędu Miasta Siemianowice Śląskie przy ul. Michałkowickiej 105., - Jana Matejki 19 → Ogródek przydomowy o powierzchni 20 m².
Stawką wywoławczą w przetargu jest miesięczna opłata czynszowa wysokości 100,00 zł. netto. Wadium w wysokości 20% rocznego czynszu wynosi 240,00 zł.
Przetarg odbędzie się w dniu 16.04.2026 r. o godz. 10.00 w Sali Konferencyjnej w budynku Urzędu Miasta Siemianowice Śląskie przy ul. Michałkowickiej 105., - Jana Matejki 19 → Ogródek przydomowy o powierzchni 20 m².
Stawką wywoławczą w przetargu jest miesięczna opłata czynszowa wysokości 100,00 zł. netto. Wadium w wysokości 20% rocznego czynszu wynosi 240,00 zł.
Przetarg odbędzie się w dniu 16.04.2026 r. o godz. 10.30 w Sali Konferencyjnej w budynku Urzędu Miasta Siemianowice Śląskie przy ul. Michałkowickiej 105.
Lokale użytkowe:
- Karola Miarki 9 → Lokal użytkowy o powierzchni 26 m².
Stawką wywoławczą w przetargu jest miesięczna opłata czynszowa wysokości 208,00 zł. netto. Wadium w wysokości 20% rocznego czynszu wynosi 499,00 zł.
Przetarg odbędzie się w dniu 16.04.2026 r. o godz. 11.00 w Sali Konferencyjnej w budynku Urzędu Miasta Siemianowice Śląskie przy ul. Michałkowickiej 105., - Powstańców 40 → Lokal użytkowy o powierzchni 24 m².
Stawką wywoławczą w przetargu jest miesięczna opłata czynszowa wysokości 192,00 zł. netto. Wadium w wysokości 20% rocznego czynszu wynosi 460,00 zł.
Przetarg odbędzie się w dniu 16.04.2026 r. o godz. 11.30 w Sali Konferencyjnej w budynku Urzędu Miasta Siemianowice Śląskie przy ul. Michałkowickiej 105., - Powstańców 40a → Lokal użytkowy o powierzchni 96,19 m².
Stawką wywoławczą w przetargu jest miesięczna opłata czynszowa wysokości 769,52 zł. netto. Wadium w wysokości 20% rocznego czynszu wynosi 1 847,00 zł.
Przetarg odbędzie się w dniu 16.04.2026 r. o godz. 12.00 w Sali Konferencyjnej w budynku Urzędu Miasta Siemianowice Śląskie przy ul. Michałkowickiej 105., - Kazimierza Pułaskiego 1 → Lokal użytkowy o powierzchni 69,60 m².
Stawką wywoławczą w przetargu jest miesięczna opłata czynszowa wysokości 556,80 zł. netto. Wadium w wysokości 20% rocznego czynszu wynosi 1 337,00 zł.
Przetarg odbędzie się w dniu 16.04.2026 r. o godz. 12.30 w Sali Konferencyjnej w budynku Urzędu Miasta Siemianowice Śląskie przy ul. Michałkowickiej 105., - Fryderyk Chopina 3 → Lokal użytkowy o powierzchni 39,96 m².
Stawką wywoławczą w przetargu jest miesięczna opłata czynszowa wysokości 319,68 zł. netto. Wadium w wysokości 20% rocznego czynszu wynosi 767,00 zł.
Przetarg odbędzie się w dniu 16.04.2026 r. o godz. 13.00 w Sali Konferencyjnej w budynku Urzędu Miasta Siemianowice Śląskie przy ul. Michałkowickiej 105., - Hutnicza 16 → Lokal użytkowy o powierzchni 24,60 m².
Stawką wywoławczą w przetargu jest miesięczna opłata czynszowa wysokości 196,80 zł. netto. Wadium w wysokości 20% rocznego czynszu wynosi 472,00 zł.
Przetarg odbędzie się w dniu 16.04.2026 r. o godz. 13.30 w Sali Konferencyjnej w budynku Urzędu Miasta Siemianowice Śląskie przy ul. Michałkowickiej 105., - Powstańców 20 → Lokal użytkowy o powierzchni 26,00 m².
Stawką wywoławczą w przetargu jest miesięczna opłata czynszowa wysokości 208,00 zł. netto. Wadium w wysokości 20% rocznego czynszu wynosi 499,00 zł.
Przetarg odbędzie się w dniu 16.04.2026 r. o godz. 14.00 w Sali Konferencyjnej w budynku Urzędu Miasta Siemianowice Śląskie przy ul. Michałkowickiej 105., - Jana Sobieskiego 7 → Lokal użytkowy o powierzchni 21,19 m².
Stawką wywoławczą w przetargu jest miesięczna opłata czynszowa wysokości 169,52 zł. netto. Wadium w wysokości 20% rocznego czynszu wynosi 407,00 zł.
Przetarg odbędzie się w dniu 16.04.2026 r. o godz. 14.30 w Sali Konferencyjnej w budynku Urzędu Miasta Siemianowice Śląskie przy ul. Michałkowickiej 105., - Kasztanowa 8 → Lokal użytkowy o powierzchni 31,55 m².
Stawką wywoławczą w przetargu jest miesięczna opłata czynszowa wysokości 252,40 zł. netto. Wadium w wysokości 20% rocznego czynszu wynosi 606,00 zł.
Przetarg odbędzie się w dniu 16.04.2026 r. o godz. 15.00 w Sali Konferencyjnej w budynku Urzędu Miasta Siemianowice Śląskie przy ul. Michałkowickiej 105.,
Piwnica:
- Zielona 9 → Piwnica o powierzchni 13,65 m².
Stawką wywoławczą w przetargu jest miesięczna opłata czynszowa wysokości 95,55 zł. netto. Wadium w wysokości 20% rocznego czynszu wynosi 229,00 zł.
Przetarg odbędzie się w dniu 16.04.2026 r. o godz. 15.30 w Sali Konferencyjnej w budynku Urzędu Miasta Siemianowice Śląskie przy ul. Michałkowickiej 105.,
Warunkiem uczestnictwa w przetargu jest wniesienie wadium w terminie do dnia 13.04.2026 r. w formie pieniężnej przelewem na rachunek bankowy Urzędu Miasta Siemianowice Śląskie: ING Bank Śląski S.A. Siemianowice Śląskie nr 59 1050 1214 1000 0023 6886 0587.
Szczegółowe informacje oraz ogłoszenia przetargowe znajdą Państwo w Biuletynie Informacji Publicznej. W przypadku pytań prosimy o kontakt z pracownikami Wydziału Gospodarki Lokalowej, tel. 32 760 53 95.
wprowadzający:
Dagmara Brudek-Schulz
foto: Rafał Jakoktochce | Biuro Prasowe UM Siemianowice Śląskie
